News

Arctocorisa carinata in New Forrest

It was found in November 2025 by Alan Leung at Bagshot Moor which appears to be the most southern record we have. It was found along with 16 other species of bugs including 10 species of corixid which sounds a great place. 

The New Forrest always throws up different and exiting species and it is great to find an upland bug in this location. I expect that it is a relict population but seem as though they are surviving well.

2025 iRecord summary

In 2025 we had 1834 records on iRecord added to the database as either Correct or Considered Correct. This was compared to 1714 in 2024 (although last year i included some plausible by mistake) and 1500 in 2023. There were records for 70 of the 96 species in the group and 31 species that had more than 10 records. 19 of the recorders submitted over 10 records in the year. ….. Read more.

Sigara longipalis found in Suffolk


Sigara longipalis was first found in Norfolk in 2006 and has not been found since even after some searching and perhaps best described as an occasional immigrant probably from The Netherlands or Denmark where there is a good population. In September 2025 Andy Musgrove found it on a newish lake in inland Suffolk. A superb record and would be great if they could establish.

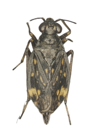
Teloleuca pellucens found in The Cairngorms

To my knowledge there are only 10 records for Teloleuca pellucens in the UK and has not been recorded since the 1990’s. 

It was therefore great to see an image on facebook from Lydia Cox that was identified by Brian Nelson turning up in in Glen Doll in July. It’s larger size, no long hairs on the antennae, the pronotum has straight sides and the wing margin is mainly black with white patches near the tip help with the identification but as always they are quite variable and it is similar to Saldula orthochila

It is usually found in highland valleys or amongst Spagnum in Peat bogs. This sample was in a highland valley which there are many in Scotland so you would expect more specimens. Perhaps more searching needed and it would be found more frequently. 

Image: Lydia Cox

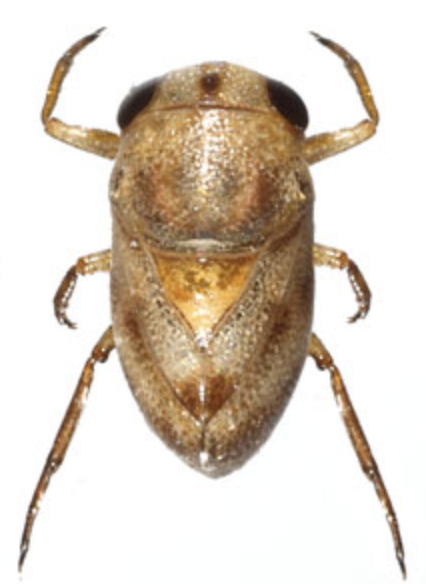
Naucoris maculatus expanding it’s range

Since Naucoris maculatus was found in East Kent in 2004 by Bernard Nau and Sheila Brooke and again in East Essex in 2013 it has been confined to those 2 ponds as far as we know as there have been no other records or sightings. It’s habitat in Europe is abundant vegetated, stagnant or slow flowing waters either brackish or freshwater. This should mean there are a lot more suitable sites along the coast and even in land. 

In September 2025 Jeff Blincow and Kev Rowley were sampling at RSPB Dungeness and Lydd ranges and found Naucoris maculata at 6 of the 8 sites surveyed. The RSPB sites were ponds and lake margins and although over gravel they were well vegetated. On Lydd ranges it was found in a well vegetated ditch and a Lake that had more gravel edges with sparse vegetation but it was taken within the vegetation. When we found them they were in good numbers too and they appeared to be great thriving colonies.

Photo: Jeff Blincow

Not having seen this before we initially thought they were juvenile Ilyocoris cimicoides because they were smaller and lighter in colour. However they are a more rounded shape and the four dark marks on the pronotum are easily seen. 

Ilyocoris cimicoides is also widenening it’s distribution with a recent record from Edinburgh recently but I am sure it will take a long time for Naucoris maculatus to follow it. 

Sigara iactans now in Wales

In the last month (April/May 2025) we have found 2 sites in Wales that has Sigara iactans in healthy populations. The first was in Parc Menai ponds just round the corner from COFNOD offices. The second was on Anglesey in the early successional field ditches at RSPB Cors Ddyga. 

My expectations is that this is now even further west and also spreading Northwards in many other sites with little vegetation. Please keep an eye out for it with every possible Sigara falleni as it is really valuable to track it’s progression across the country. 

The only real way to confirm is by checking the male palae as per these photo’s but not too difficult under the microscope. 

Sue Timms, Kate Nightingale and Alan Cann have created a Checklist of Aquatic and semi-aquatic Heteroptera in VC55 (click to see the pdf)

It is much more than just a checklist and more of a review providing great information about the history of water bug recording in Leicestershire from the first specimen by The Reverend George Crabbe in 1795 up to the present day. It also documents the Water bugs and the records accumulated from many sources. The photo’s are excellent too!

2024 iRecord Summary


In 2024 we had 1714 records added to the iRecord database as either Correct or Considered Correct. This was compared to 1600 in 2023 and 1914 in 2022. There were records for 71 of the 96 species in the group. I have broken it down into a summary of the year ….. Read more.

The map is of the 9,961 records from iRecord that are in the NBN Dataset

New Plea sp to look out for

Scientists in Germany have described Plea cryptica as new for Europe and have looked at the differences with Plea minutissima. As part of the research it was not found in the UK but has been found in a number of countries in Europe including Belgium. I am sure it won’t be long before it is either found here or hops across the channel…… Read more

Opposite image is Plea minutissima.

Ranatra linearis in Scotland

Water Stick Insect has gradually and slowly been flying up the country most likely as temperatures are warming. In 2023 we were able to confirm that it had made it’s way into Scotland. Kev Rowley found a juvenile in Wigtownshire but then confirmed that Bob Merritt had found it earlier in the year around Dumfries. Since this time we have had numerous records from the Cumbria and Scotland where it is starting to consolidate now. The map is currently being re-drawn so we would welcome any records wherever in the country to help us build a better picture, just add them to iRecord……. Read more

Ilyocoris cimicoides on Lundy

Whether it has flown, swam, been carried or even a mix – the saucer bug has made it’s way in the last year to Lundy, a full 11 miles off the coast of Devon as it expands it’s it’s range in Britain. We have received records of adults and juvenille’s in the main pond on the island. What a feat of endurance for such a small insect……. Read more